文章资讯
寒松的寓意(松寒是什么)
最佳答案寒松原本的意思是寒冬不凋的松树,常用来比喻坚贞的节操。松树傲寒屹立,虬干凌云。寒冬的松树高大挺拔、挺拔傲岸,与忠贞不贰、威武不屈互为表里。用作人名表示:忠贞不二、不畏严寒、威武不屈、富有担当。
学计算机专业必须买好电脑吗(学计算机专业必须买好电脑吗女生)
1、这年代电脑已经很普及的了,而且很多以往手工人力操作的工作,都已经可以电子化了,所以就算不是计算机专业的同学都应该带上一部电脑,这样无论是学习还是工作都方便很多。2、而且,计算机专业的课程会涉及很多软件的使用,如果是偏
如何清洗水池(如何清洗水池技巧)
1、铁质水池、水池要经常清洁,清洗水池请用海棉或者棉布,并用中性的清洁剂,轻轻擦洗;水池使用完毕后,要用清水清洗并擦干,不要让水滴残留在表面,高铁含量的水可能导致在水池表面形成棕红色的水迹;滞留的水分会导致矿物质沉积的发
微信被封号了会很久吗 微信封号会封多久
1、第一次被封等一天就可以了,第二次被封就要等的时间长一点。2、自助解封:进入微信 点击微信版面下方右下角 “我”选项,点击进入;点击界面中的“设置选项 ,点击进入;点击界面中的“关于微信”选项,点击进入;3、点击界面中
公章如何清洗 如何清洗公章印章章面
1、首先拿起印章,让印面朝上,然后使用专门的印章清洗剂溶液喷洒在印面上,清洗剂淘宝上可以买到。2、接着等印章上的污垢松软后,就用小刷子刷洗印章。3、如果碰到印面凹陷部位难以刷洗干净的油垢,可以用针把油垢挑出来清理,或者用
粉饼如何清洗(粉饼如何清洗掉)
1、粉扑是经过特殊设计的,大都是细腻柔软,上妆均匀,所以清洗的方法也是比较讲究。清洗气垫粉扑最关键的就是绝对不能像洗衣服那样搓揉,建议把清洁用品倒在粉扑上,用双手的大拇指轻轻按压,彻底融出粉扑内的底妆后,重复以清水冲洗挤
如何清洗假牙(如何清洗假牙的石膏)
1、假牙如何清洗?清洁假牙的第一步,是彻底冲洗掉残留在假牙中的颗粒。然后将牙刷弄湿,清洁假牙。清洁的时候要注意小心谨慎的刷洗假牙表层,不要太过于用力,避免损坏假牙。 2、假牙如何清洗?另外,假牙佩戴者要养成正确的假牙护
沉香如何清洗(沉香发霉了如何清洗)
1、建议用半湿的棉布擦拭,如果珠子不是很多的,先把手串绳子剪开,一颗一颗的,反反复复的擦拭,你就会发现珠子其实真的很脏,直到擦拭到味道慢慢变的纯净了,基本上没有什么杂味的时候就可以了,再稍微用干的棉布盘一下就会恢复到以前
微信异常多久能解封自动解封(微信异常多久能解封自动解封了)
1、多久都不行,只能主动解封,登录自己的微信号,提示被封后,点击确定申请解封。2、出现下面的情况,点“我已了解,申请解封”。3、按照系统提示完成第一个验证。4、再用手机号验证,要注册这个号的手机号,用这个手机号发一条短信
相濡以沫什么意思啊 相濡以沫什么意思啊怎么读
相濡以沫原本的意思是泉水干了,鱼吐沫互相润湿。现在一般用来指夫妻感情,也可用于朋友。比喻同在困难的处境里,用微薄的力量互相帮助。相:外相;濡:沾湿;沫:唾沫。濡以沫。
农业银行卡自动取款机转账最低能转多少 农行自动取款机转账最低限额
中国农业银行自动取款机转账没有最低限额。但自动取款机转账有最高限额,农业银行借记卡(储蓄卡)通过自助取款机日累计转账上限为5万元。而个人网银转账单笔限额50万元,失败的交易也要占用转账额度。
如何清洗吉他(如何清洗吉他箱视频)
1、吉他不能清洗,吉他不能用水直接清洗的。通常在清洁琴头的时候,一般把吉他的六根弦先卸载下来,用清洁剂和干燥的抹布把前头清理干净。擦指板注意要顺着木材纹理擦而不要逆着。2、偶尔给弦钮齿加点润滑油,以维持它的旋转功能还可防
酱油如何清洗(怎样清洗酱油)
1、白糖去渍法。把沾有酱油渍的地方用水浸湿,洒上一勺白糖用手搓洗,再用清水洗净,可以去除污渍。2、苏打粉去渍法。在沾有酱油渍的地方涂上苏打粉,10分钟后用清水洗净即可。3、莲藕去渍法。用刀将新鲜的莲藕切开,将莲藕汁涂在污
如何清洗靴子(如何清洗靴子内部)
1、首先用鞋刷去鞋上的灰尘污垢,长靴可以在鞋筒里塞报纸或硬物来固定鞋形,以便清理。2、接着将去污剂倒在布上搓匀,切记不要直接倒在鞋面上,那样有可能会产生去色斑点。3 用伸展性良好的乳化性鞋油擦干,然后上蜡。4、大面积均匀
2020正能量奋斗的句子(2020年工作正能量励志的句子)
成年的字典里没有容易二字。||累了可以休息,但不要说放弃。||请把努力当成一种习惯,而不是三分钟热度。||每一个你羡慕的收获,都是努力用心拼来的。||你若想要得到,就别只是期望。||人生短暂,经不起等待。||人最大的对手,往往不是别人,而是自己的懒惰。||任何时候都要靠本事吃饭。
过期卫生巾的小妙用(过期的卫生巾有什么用妙招?)
1、可以用来当鞋垫;2、骑车远行时当坐垫;3、放在帽子衣服上做汗垫;4、可以用来当抹布;5、用来擦地板;6、用来当降温贴;7、放在鞋里当干燥剂;8、受伤时当止血贴。
祛斑的护肤品什么牌子的好 祛斑的护肤品什么牌子的好 明白
祛斑效果比较好的护肤品主要有SK-II银瓶淡斑精华、娇韵诗清透润白淡斑亮肤精华、科颜氏淡斑精华、倩碧双管淡斑精华、资生堂新透白美白精华等。其中,娇韵诗的清透润白淡斑亮肤精华又被称为“淡斑小瓷瓶”,能重点击退黑色素,全面发挥提亮、美白 、淡斑、保湿四大功效。
青菜头和儿菜的区别(青菜头和儿菜的区别是什么)
青菜头含有丰富的食物纤维,一般都把它腌制成咸菜来吃。儿菜是一种长相比较奇特的蔬菜,幼苗生长到一定阶段后叶腋处生长的芽会不断的膨大。而且儿菜营养丰富,品质细嫩,味道鲜美,吃法多样,炒、烩、炸、涮、凉拌、作汤、腌泡均可。
筷子怎么打发蛋清(筷子怎么打发蛋清窍门)
将鸡蛋的蛋白和蛋清分开,把蛋清倒入容器,拿起三只筷子顺着同一个方向开始打发;用筷子一直打到蛋清起泡,等蛋清气泡后放入1勺白糖,最好分2-3次放入白糖;接着,用筷子继续将蛋清打发至光滑雪白为止。
奥林匹克日是哪一天 奥林匹克日是哪一天?
奥林匹克日是在每年的6月23日。奥林匹克日又叫做国际奥林匹克日,由国际奥林匹克委员会于1948年设立,旨在纪念1894年6月23日在巴黎索邦诞生的现代奥林匹克运动会。
脚垫怎么去除小窍门(脚垫怎么去除小窍门其实很简单)
可以用芹菜叶去除脚垫,把洗干净的芹菜捏成一小把涂抹在脚垫处,擦到叶汁干了就可以了,一天可以擦三到四次,差不多一周脚垫会被去除了。
如何清洗衣服上已固化硅胶 衣服粘硅胶怎么洗去?
硅胶可以用清水进行清洗,也可以用中性洗衣液、洗手液等使用;||可以用酒精去除表面油污;||衣服上粘住硅胶,可以把衣服的污染处浸泡在温水里,胶水软化后,用手揉搓撕掉;||用溶剂二甲苯把硅胶软化溶解、然后用抹布擦掉;||也可以用硅胶专用清洁剂,但必须按照使用说明书操作。
愚人节是哪个国家的节日 愚人节是哪个国家的节日呢
愚人节并不是特定为哪个国家的节日,西方很多国家都过愚人节,从19世纪开始在西方流行,其节日时间为公历4月1日。
白玉菇长什么样(白玉菇多长)
1、白玉菇别称白雪菇、白色蟹味菇、白色真姬菇、白玉蕈,属于伞菌目,口蘑科、白蘑属,是一种珍稀食用菌。菇体洁白如玉,晶莹剔透;质地细腻,菇体脆嫩鲜滑,清甜可口,是一种倍受国内外市场青睐的上乘山珍,是食用菌中的“金枝玉叶”。
如何清洗红酒酒渍 怎样清洗红酒渍
1、红酒渍是一种很顽强的污渍,去除衣服上的红酒渍可以用洗洁精和双氧水,倒在上面让它慢慢渗入,污渍就会开始慢慢的褪色了,完全渗入酒渍后就可以开始清洗了。2、红酒渍是一种很顽强的污渍,去除衣服上的红酒渍可以用洗洁精和双氧水,
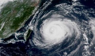
巴威是谁起的名字(巴威是谁起的名字叫什么)
1、“巴威”是越南提供的10个名字之一,意为越南北部一山名。 2、为避免台风名称的混乱,1997年11月25日-12月1日,有关国家和地区在香港举行的世界气象组织(简称WMO)台风委员会第30次会议上决定规范台风的命名
如何清洗美妆蛋 如何清洗美妆蛋没有清洗剂
1、在一个小碟子里装满温水,然后挤一点洗手液或者洗发水进去,轻轻搅拌,直到水面上形成泡沫。2、把美妆蛋放进肥皂水中,用手揉捏两三次,然后浸泡大约30分钟。盘子里要保证有足够的水使美妆蛋完全浸入。如果一开始准备的水不够,你
如何清洗化妆棉 如何清洗化妆棉的污渍
1、把清洁产品直接倒适量于已经沾水的海绵上,让海绵产生泡沫。2、手法上要注意以手掌重复捏放,目的是将海绵内的脏东西和渗进去的粉底洗干净,揉搓后弹性会变差,上妆时会产生脱屑的状况。3、接下来要做的就是用大量清水冲洗掉清洁产
微信如果删除了聊天记录该怎么办(微信里的聊天记录删了怎么办)
1、PC端恢复:使用PC端微信将其备份,这样就算微信聊天记录误删也不怕了。2、操作方法:设置——备份与恢复——备份聊天记录至电脑;其次在手机上点击【备份全部聊天记录】,同时也可以点击【选择聊天记录】,选择要备份的好友或是
如何清洗绿松石(如何清洗绿松石的污垢)
1、清洗绿松石要使用清水,因为绿松石是一种化学性质不稳定的宝石,使用酸性或碱性的洗涤液清洗绿松时会改变绿松石的性质。同时需要注意不要使用热水清洗,以免由于热胀冷缩出现变形现象。2、用清水清洗绿松石之后,绿松石往往会吸收很
